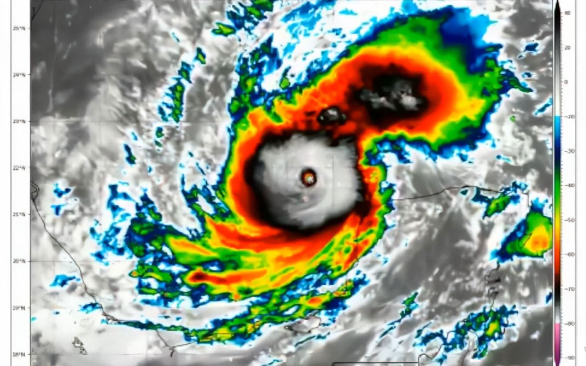
El huracán Milton ha alcanzado la categoría 5 en la escala Saffir-Simpson y se prepara para arribar a las costas de México y Estados Unidos. La Comisión Nacional del Agua de México (Conagua) alertó de que el huracán impactará el norte de Campeche, Quintana Roo y Yucatán durante el lunes y martes. El sistema presenta vientos máximos sostenidos de 280 kilómetros por hora y rachas de hasta 330 kilómetros por hora.
La Conagua mencionó que a las 12 h del lunes, Milton se localiza a 130 km al noroeste de Celestún y a 170 km al oeste noroeste de Progreso, Yucatán. El hucarán se desplaza hacia el este-sureste a 15 km/h y originará lluvias torrenciales y posibles trombas marinas en Campeche y Yucatán, así como afectaciones en Puebla, Veracruz, Tabasco, Quintana Roo y otros estados.
Alejandra Méndez, coordinadora del Servicio Meteorológico Nacional (SMN), declaró que las bandas nubosas del sistema impactarán la costa norte de Campeche, Yucatán y Quintana Roo. Posteriormente, el huracán Milton cambiará de dirección con rumbo a la Florida. El SMN advierte que el hucarán Milton provocará afectaciones por vientos de entre 180 y 200 km/, oleaje de 6 a 8 metros de altura y lluvias intensas a torrenciales con posibles trombas marinas en México.








La coordinadora del SMN mencionó que los vientos podrían generar daños a tendidos eléctricos, vegetación y casas con techos ligeros. Por otro lado, las embarcaciones marítimas y puertos deberán extremar precauciones y seguir las indicaciones de las autoridades de Protección Civil.
El Servicio Meteorológico Nacional en coordinación con el Centro Nacional de Huracanes de Estados Unidos (NHC), emitieron una zona de prevención por los efectos de Milton desde Celestún hasta Río Lagartos, Yucatán. Se mantiene una zona de vigilancia por efectos de huracán desde Río Lagartos hasta Cabo Catoche, Yucatán, y de Campeche, Campeche, hasta Celestún, Yucatán.
El huracán Milton golpeará las costas de México y la Florida
De acuerdo con el Centro Nacional de Huracanes de EE. UU., existe un riesgo de marejadas ciclónicas mortales y vientos dañinos en Florida. La dependencia emitió una alerta a localidades de la costa oeste de la península y pidió a los residentes que sigan las indicaciones de las autoridades y que evacúen el área si se les solicita.
«Los datos de la NOAA y de los aviones caza huracanes de la Reserva de la Fuerza Aérea indican que los vientos máximos sostenidos han aumentado hasta cerca de 280 km/h con ráfagas más fuertes», menciona el NHC. «Milton es un huracán potencialmente catastrófico de categoría 5 en la escala de Saffir-Simpson.»
Según el Centro de Huracanes, la marejada ciclónica provocada por Milton elevaría los niveles de agua entre 120 y 180 centímetros a lo largo de la costa norte de la Península de Yucatán. La marejada llegará acompañada de olas grandes y destructivas, que provocarán inundaciones tierra adentro.


Según expertos, por primera vez en la historia, el Atlántico ha registrado 3 huracanes simultáneamente después de septiembre. Milton ha alcanzado la categoría 5 en tiempo récord, superando al huracán Otis que afectó las costas de Guerrero en 2023. Las estimaciones iniciales del NHC apuntaban a que Milton llegaría a categoría 3 o 4 la tarde noche del lunes.